I grew up here. I have been in Real Estate for 20 years, and been the Office Manager for the last 17. I love my job and enjoy assisting people in all their real estate needs.
I Love football and Billiards and watching my kids grow up.
Land For Sale
TBD NE Estate Blvd., Fruitland, Idaho 83619
6Picture(s)
2SqFt
35
Parcel #3 Bring your Builder and TDR! This beautiful 2.0 acre parcel in Fruitland, Idaho features fantastic hill and mountain views, close proximity to the river and has lots of room for your horses and farm animals. This proper minimum Lot Size is .93 in Please call Payette County Planning and Zoning for any and all information regarding subject property, both County and City.
$189,900
Land For Sale
TBD NE Estate Blvd., Fruitland, Idaho 83619
2SqFt
Visits: 35
Parcel #3 Bring your Builder and TDR! This beautiful 2.0 acre parcel in Fruitland, Idaho features fantastic hill and mountain views, close proximity to the river and has lots of room for your horses and farm animals. This proper minimum Lot Size is .93 in Please call Payette County Planning and Zoning for any and all information regarding subject property, both County and City.
$189,900
Land For Sale
TBD NE 16th, Fruitland, Idaho 83619
4Picture(s)
4.56SqFt
34
Parcel #1 Bring your Builder and your own TDR! This peaceful country acreage is close to market center and is within 5 minutes of I-84. Hunting, Payette River activities and fishing abound here. This is COUNTRY LIVING. Create your Country Paradise.This convenient property can be built on please call Payette County Planning and zoning for more information.
$425,000
Land For Sale
TBD NE 16th, Fruitland, Idaho 83619
4.56SqFt
Visits: 34
Parcel #1 Bring your Builder and your own TDR! This peaceful country acreage is close to market center and is within 5 minutes of I-84. Hunting, Payette River activities and fishing abound here. This is COUNTRY LIVING. Create your Country Paradise.This convenient property can be built on please call Payette County Planning and zoning for more information.
$425,000
Business/Commercial For Sale
505 Oak Street, Nezperce, Idaho 83543
9Picture(s)
1,542SqFt
47
Are you looking to start your own business? This is a well established Law office "Mike Wasko Law Office" in NezPerce Idaho. This building has lots of potential to be converted into a business of your choice and has had a long ownership history. Prime location on main street and great location to the amenities of downtown.
$170,000
Business/Commercial For Sale
505 Oak Street, Nezperce, Idaho 83543
1,542SqFt
Visits: 47
Are you looking to start your own business? This is a well established Law office "Mike Wasko Law Office" in NezPerce Idaho. This building has lots of potential to be converted into a business of your choice and has had a long ownership history. Prime location on main street and great location to the amenities of downtown.
$170,000
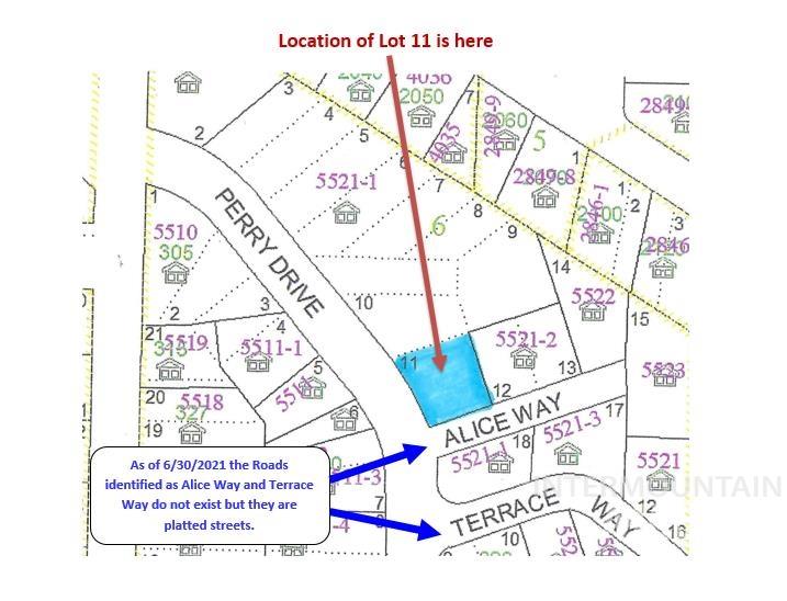
Land For Sale
Lot 11 Block 1 Big Sky Estates, Hagerman, Idaho 83332
2Picture(s)
1.00SqFt
34
Welcome to Big Sky Estates. Hagerman’s premier new subdivision. Big Sky Estates sits just outside Hagerman’s city limits, overlooking beautiful Billingsley Creek and much of the Hagerman Valley. This is an outstanding opportunity to build your dream home. With generous 1+/- acre lots the opportunities are endless on your custom home with plenty of room to build an amazing shop.
$150,000
Land For Sale
Lot 11 Block 1 Big Sky Estates, Hagerman, Idaho 83332
1.00SqFt
Visits: 34
Welcome to Big Sky Estates. Hagerman’s premier new subdivision. Big Sky Estates sits just outside Hagerman’s city limits, overlooking beautiful Billingsley Creek and much of the Hagerman Valley. This is an outstanding opportunity to build your dream home. With generous 1+/- acre lots the opportunities are endless on your custom home with plenty of room to build an amazing shop.
$150,000
Land For Sale
Lot 10 Block 1 Big Sky Estates, Hagerman, Idaho 83332
2Picture(s)
1.01SqFt
34
Welcome to Big Sky Estates. Hagerman’s premier new subdivision. Big Sky Estates sits just outside Hagerman’s city limits, overlooking beautiful Billingsley Creek and much of the Hagerman Valley. This is an outstanding opportunity to build your dream home. With generous 1+/- acre lots the opportunities are endless on your custom home with plenty of room to build an amazing shop.
$160,000
Land For Sale
Lot 10 Block 1 Big Sky Estates, Hagerman, Idaho 83332
1.01SqFt
Visits: 34
Welcome to Big Sky Estates. Hagerman’s premier new subdivision. Big Sky Estates sits just outside Hagerman’s city limits, overlooking beautiful Billingsley Creek and much of the Hagerman Valley. This is an outstanding opportunity to build your dream home. With generous 1+/- acre lots the opportunities are endless on your custom home with plenty of room to build an amazing shop.
$160,000
Land For Sale
Lot 3 Block 2 Big Sky Estates, Hagerman, Idaho 83332
2Picture(s)
1.01SqFt
34
Welcome to Big Sky Estates. Hagerman’s premier new subdivision. Big Sky Estates sits just outside Hagerman’s city limits, overlooking beautiful Billingsley Creek and much of the Hagerman Valley. This is an outstanding opportunity to build your dream home. With generous 1+/- acre lots the opportunities are endless on your custom home with plenty of room to build an amazing shop.
$165,000
Land For Sale
Lot 3 Block 2 Big Sky Estates, Hagerman, Idaho 83332
1.01SqFt
Visits: 34
Welcome to Big Sky Estates. Hagerman’s premier new subdivision. Big Sky Estates sits just outside Hagerman’s city limits, overlooking beautiful Billingsley Creek and much of the Hagerman Valley. This is an outstanding opportunity to build your dream home. With generous 1+/- acre lots the opportunities are endless on your custom home with plenty of room to build an amazing shop.
$165,000
Land For Sale
Lot 9 Block 1 Big Sky Estates, Hagerman, Idaho 83332
2Picture(s)
1.23SqFt
43
Welcome to Big Sky Estates. Hagerman’s premier new subdivision. Big Sky Estates sits just outside Hagerman’s city limits, overlooking beautiful Billingsley Creek and much of the Hagerman Valley. This is an outstanding opportunity to build your dream home. With generous 1+/- acre lots the opportunities are endless on your custom home with plenty of room to build an amazing shop.
$175,000
Land For Sale
Lot 9 Block 1 Big Sky Estates, Hagerman, Idaho 83332
1.23SqFt
Visits: 43
Welcome to Big Sky Estates. Hagerman’s premier new subdivision. Big Sky Estates sits just outside Hagerman’s city limits, overlooking beautiful Billingsley Creek and much of the Hagerman Valley. This is an outstanding opportunity to build your dream home. With generous 1+/- acre lots the opportunities are endless on your custom home with plenty of room to build an amazing shop.
$175,000
Land For Sale
Lot 16 Block 1 Big Sky Estates, Hagerman, Idaho 83332
2Picture(s)
1.01SqFt
34
Welcome to Big Sky Estates. Hagerman’s premier new subdivision. Big Sky Estates sits just outside Hagerman’s city limits, overlooking beautiful Billingsley Creek and much of the Hagerman Valley. This is an outstanding opportunity to build your dream home. With generous 1+/- acre lots the opportunities are endless on your custom home with plenty of room to build an amazing shop.
$150,000
Land For Sale
Lot 16 Block 1 Big Sky Estates, Hagerman, Idaho 83332
1.01SqFt
Visits: 34
Welcome to Big Sky Estates. Hagerman’s premier new subdivision. Big Sky Estates sits just outside Hagerman’s city limits, overlooking beautiful Billingsley Creek and much of the Hagerman Valley. This is an outstanding opportunity to build your dream home. With generous 1+/- acre lots the opportunities are endless on your custom home with plenty of room to build an amazing shop.
$150,000
Land For Sale
Lot 8 Block 1 Big Sky Estates, Hagerman, Idaho 83332
2Picture(s)
1.14SqFt
34
Welcome to Big Sky Estates. Hagerman’s premier new subdivision. Big Sky Estates sits just outside Hagerman’s city limits, overlooking beautiful Billingsley Creek and much of the Hagerman Valley. This is an outstanding opportunity to build your dream home. With generous 1+/- acre lots the opportunities are endless on your custom home with plenty of room to build an amazing shop.
$185,000
Land For Sale
Lot 8 Block 1 Big Sky Estates, Hagerman, Idaho 83332
1.14SqFt
Visits: 34
Welcome to Big Sky Estates. Hagerman’s premier new subdivision. Big Sky Estates sits just outside Hagerman’s city limits, overlooking beautiful Billingsley Creek and much of the Hagerman Valley. This is an outstanding opportunity to build your dream home. With generous 1+/- acre lots the opportunities are endless on your custom home with plenty of room to build an amazing shop.
$185,000
